Vai al contenuto
  • Home
  • Le proprietà
    • In vendita
    • In affitto
    • Di prestigio
    • All’Asta
  • Chi Siamo
  • Contatti
Menu
  • Home
  • Le proprietà
    • In vendita
    • In affitto
    • Di prestigio
    • All’Asta
  • Chi Siamo
  • Contatti
  • +39 393 996 0496

Bifamiliare in piu’ ampio fabbricato colonico

  • 5 camere
  • 3 bagni
  • 260mq

€ 565.000

Aggiorna il browser per vedere il video
Nuovo
Documenti
  • screenshot_30-3-2026_11438_
  • screenshot_30-3-2026_11459_
  • lavanderia
  • app-piano-1
  • app-gianna

Descrizione

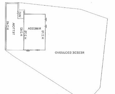
Proponiamo in vendita un’esclusiva soluzione immobiliare tipologia terratetto,  già suddiviso in due unità abitative indipendenti. Questa proprietà rappresenta la scelta ideale per due nuclei familiari che desiderano vivere vicini mantenendo la propria autonomia, grazie a spazi generosi e ben distribuiti. Questa realtà si sviluppa in un piccolo contesto di 10 unità abitative.

Ogni unità immobiliare si sviluppa su una superficie di 110 mq. La prima abitazione dispone di un ampio soggiorno-cucina open space con camino, tre ampie camere da letto matrimoniali, oltre ad accessori, lavanderia , posti auto, giardino e pertinenza di mq 44, proposta a 290.000 €.

Mentre la seconda unità, di mq 95 finemente ristrutturata con materiali di pregio, dispone di un ampio salone con una bellissima volta unica stile toscano, camera matrimoniale, camerina, cucinotto abitabile, oltre accessori quali, lavanderia, giardino e posti auto offerta a 275.000 €.

Entrambe le case godono di una zona giorno luminosa e di una disposizione interna funzionale alle esigenze della vita moderna. Sin precisa che l’immobile è uno storico ex convento; difatti, pur essendo stato soggetto a ristrutturazioni, le finiture di pregio e le caratteristiche storiche, come le volte dei soffitti, sono rimaste, donando all’immobile un fascino tutto suo.

Il vero punto di forza della proprietà è lo spazio esterno. Ogni appartamento è dotato di un giardino privato di 250 mq circa situato a pochissimi metri dall’ingresso, un’oasi verde perfetta per il relax, il gioco dei bambini o l’accoglienza di animali domestici. La comodità è garantita inoltre da quattro posti auto privati complessivi, due per ogni famiglia, e da una pratica zona lavanderia a comune che consente di ottimizzare la gestione degli ambienti domestici.

Questa bifamiliare unisce il fascino dell’indipendenza alla praticità di una posizione strategica, offrendo ampie metrature difficili da reperire sul mercato attuale. Una soluzione pronta ad accogliere i vostri progetti di vita futura.

Panoramica

  • Rif: SE988
  • Prezzo: € 565.000
  • Superficie: 260mq
  • Anno di costruzione: 1700
  • Locali: 10
  • Camere: 5
  • Bagni: 3
  • Piano: 2 (Ultimo piano)
  • Piani edificio: 2
  • Riscaldamento: Autonomo, a Gas, A radiatori
  • Impianto aria condizionata: Autonomo, aria Calda/Fredda

Dettagli

  • Parzialmente Arredato
  • Canna fumaria
  • Accessibile ai disabili
  • Fibra ottica
  • Cancello elettrico
  • Porta blindata
  • Videocitofono
  • Allarme
  • Esposizione esterna
  • Giardino privato
  • Giardino condominiale
Calcola il tuo mutuo
anno(i)
Calcolare

Il tuo pagamento mensile totale

Principali e interessi
Richiedi informazioni
Facebook Twitter Pinterest Instagram Youtube

Contatti

  • Gianna 393 996 0496
  • Patrizia 338 401 1454
  • Agenzia 055 7965448
  • Piazza IV Novembre 17, Seano
  • vips.immobiliare@gmail.com

Link utili

  • Privacy Policy
  • Cookie Policy
  • Privacy Tools
  • Sitemap
  • © Vips di Picchi Patrizia
  • P.IVA IT02184840979
  • Sito realizzato con Domyno Accelerator
  • Accedi
Utilizziamo i cookie
Utilizziamo i cookie per le funzionalità fondamentali del sito e per assicurarti la migliore esperienza.
Il sito utilizza cookie di terze parti per statistiche anonime di utilizzo.
Se desideri sapere di più sui cookie che utilizziamo e su come gestirli, puoi accedere alla Cookie Policy

ACCETTA TUTTIRIFIUTASCEGLICHIUDI BANNER
Panoramica sulla privacy

This website uses cookies to improve your experience while you navigate through the website. Out of these cookies, the cookies that are categorized as necessary are stored on your browser as they are essential for the working of basic functionalities of the website. We also use third-party cookies that help us analyze and understand how you use this website. These cookies will be stored in your browser only with your consent. You also have the option to opt-out of these cookies. But opting out of some of these cookies may have an effect on your browsing experience.

Tecnici
Sempre abilitato
I cookie tecnici sono assolutamente indispensabili al sito web per funzionare correttamente. Questi cookie assicurano il funzionamento e la sicurezza di base del sito in maniera anonima. Tra i cookie tecnici vi possono essere anche quelli di performace e analitici di prima parte che non memorizzano dati personali dell'utente.
CookieDurataDescrizione
_pk_id.*.*1 MonthCookie di prima parte per statistiche di utilizzo che raccoglie dati anonimi e in forma aggregata per statistiche riservate agli amministratori del sito
_pk_ses.*.*1 HourCookie di prima parte per statistiche di utilizzo che raccoglie dati anonimi e in forma aggregata per statistiche riservate agli amministratori del sito
cookielawinfo-checkbox-advertisement1 yearQuesto cookie è impostato dal meccanismo di registrazione del consenso all'utilizzo dei cookie previsto dal GDPR. Registra il consenso dell'utente all'utilizzo dei cookie nella categoria "Pubblicità".
cookielawinfo-checkbox-analytics1 yearQuesto cookie è impostato dal meccanismo di registrazione del consenso all'utilizzo dei cookie previsto dal GDPR. Registra il consenso dell'utente all'utilizzo dei cookie nella categoria "Analitici".
cookielawinfo-checkbox-functional1 yearQuesto cookie è impostato dal meccanismo di registrazione del consenso all'utilizzo dei cookie previsto dal GDPR. Registra il consenso dell'utente all'utilizzo dei cookie nella categoria "Funzionali".
cookielawinfo-checkbox-necessary1 yearQuesto cookie è impostato dal meccanismo di registrazione del consenso all'utilizzo dei cookie previsto dal GDPR. Registra il consenso dell'utente all'utilizzo dei cookie nella categoria "Necessari".
cookielawinfo-checkbox-necessary1 yearQuesto cookie è impostato dal meccanismo di registrazione del consenso all'utilizzo dei cookie previsto dal GDPR. Registra il consenso dell'utente all'utilizzo dei cookie nella categoria "Necessari".
cookielawinfo-checkbox-others1 yearQuesto cookie è impostato dal meccanismo di registrazione del consenso all'utilizzo dei cookie previsto dal GDPR. Registra il consenso dell'utente all'utilizzo dei cookie nella categoria "Altri".
cookielawinfo-checkbox-performance11 monthsQuesto cookie è impostato dal meccanismo di registrazione del consenso all'utilizzo dei cookie previsto dal GDPR. Registra il consenso dell'utente all'utilizzo dei cookie nella categoria "Performance".
elementorneverQuesto cookie è utilizzato dal tema WordPress del sito web. Consente al proprietario del sito Web di implementare o modificare il contenuto del sito Web in tempo reale.
tc_mtm_vars1 yearUtilizzato dal sistema per individuare le campagne pubblicitarie di origine.
tc_mtm_vars_last1 yearUtilizzato dal sistema per individuare l'ultima campagna pubblicitaria di origine.
viewed_cookie_policy11 monthsQuesto cookie è impostato dal meccanismo di registrazione del consenso all'utilizzo dei cookie previsto dal GDPR. Registra se l'utente ha acconsentito o meno all'uso dei cookie.
Funzionali
I cookie Funzionali vengono usati per fornire funzionalità aggiuntive per il sito web come la condivisione dei contenuti nei social, la raccolta di feedback e altre funzionalità di terze parti.
Performance
I cookie di Performance vengono utilizzati per analizzare gli indici di prestazione del sito e ci aiutano a migliorare l’esperienza degli utenti.
Analitici
I cookie Analitici vengono utilizzati per capire come gli utenti interagiscono con il sito. Aiutano a fornire informazioni sul numero di visitatori, frequenza di rimbalzo, origine del traffico, ecc.
Pubblicitari
I cookie pubblicitari vengono utilizzati per fornire agli utenti pubblicità e campagne marketing rilevanti per loro. Questi cookie tracciano gli utenti attraverso più siti per raccogliere informazioni e mostrare pubblicità personalizzate.
Altri
Gli Altri cookie sono tutti quelli che non rientrano nelle altre categorie o che devono essere analizzati per essere categorizzati.
Offerto da WebToffee Logo
Manage consent